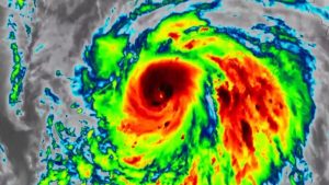
Ciudad de México – El huracán Erick se ha convertido en el fenómeno meteorológico más potente en tocar tierra en México en una fecha tan temprana de la temporada de huracanes en el Pacífico. Imágenes satelitales muestran su trayectoria con una estructura bien definida y un avance sostenido hacia el noroeste del país.
El ciclón, que alcanzó categoría mayor antes de impactar costas mexicanas, provocó intensas lluvias, fuertes vientos y un oleaje significativo en varias regiones del litoral pacífico. Las autoridades activaron protocolos de emergencia, evacuaciones preventivas y alertas en zonas vulnerables.
El Centro Nacional de Huracanes (NHC, por sus siglas en inglés) destacó que Erick es uno de los huracanes más tempranos y poderosos registrados en el Pacífico mexicano en las últimas décadas. Especialistas atribuyen esta anomalía a factores climáticos como el aumento en la temperatura del océano.
La Comisión Nacional del Agua (Conagua) y Protección Civil mantienen vigilancia activa sobre las posibles secuelas de este fenómeno, mientras equipos de emergencia evalúan los daños en las zonas más afectadas.
