Huracán Gabrielle se fortalece cerca de Bermudas y podría intensificarse aún más
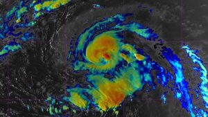
El Centro Nacional de Huracanes (NHC), con sede en Miami, informó este lunes que Gabrielle se ha fortalecido hasta convertirse en un huracán de categoría 1, con vientos sostenidos de 150 km/h (90 mph) y posibilidades de intensificación en las próximas horas.
A las 5:00 a.m. (hora del Atlántico), el centro del huracán Gabrielle se ubicaba cerca de la latitud 30,0°N y longitud 62,5°O, es decir, a unos 335 kilómetros al sureste de Bermudas. El sistema se desplaza hacia el nor-noroeste a 17 km/h y se espera un giro hacia el norte este lunes, seguido de un movimiento más rápido hacia el noreste o este-noreste durante el martes. De acuerdo con el pronóstico, Gabrielle pasaría al este de Bermudas esta misma noche.
Alertas por vientos, lluvia y oleaje en Bermudas y la costa este de EE.UU.
Actualmente, los vientos con fuerza de huracán se extienden hasta 35 km desde el centro, mientras que los vientos con fuerza de tormenta tropical alcanzan un radio de hasta 220 km. El NHC advierte que Gabrielle podría convertirse en un huracán de gran intensidad en breve.
Aunque las probabilidades de impactos directos en Bermudas han disminuido, las autoridades piden a la población mantenerse atenta a las actualizaciones, ya que aún podrían registrarse efectos de viento y lluvia.
Además, Gabrielle está generando marejadas peligrosas que ya afectan a Bermudas, a la costa este de Estados Unidos desde Carolina del Norte hacia el norte, y a las provincias atlánticas de Canadá. Estas condiciones podrían provocar corrientes de resaca y oleaje elevado durante los próximos días.
Gabrielle rompe una racha de calma en el Atlántico
Gabrielle es la primera tormenta tropical activa en el Atlántico desde que Fernand se debilitó el 28 de agosto. De hecho, según el experto en huracanes Dr. Phil Klotzbach, de la Universidad Estatal de Colorado, es apenas la segunda vez desde 1950 que el Atlántico no registra tormentas entre el 29 de agosto y el 16 de septiembre. La última vez fue tras el paso del devastador huracán Andrew en 1992.

