NOAA vaticina temporada de huracanes más alta de lo normal
Por Voz de América – Redacción
La Administración Oceánica y Atmosférica de Estados Unidos (NOAA, por sus siglas en inglés) pronosticó esta semana una temporada de huracanes en el Atlántico más alta que el promedio.
“Los meteorólogos predicen una probabilidad de 60% para una temporada por encima de lo normal, una probabilidad de 30% para una temporada normal y una de 10% para una temporada menor de lo normal”, dijo la NOAA en una nota de prensa divulgada el jueves.
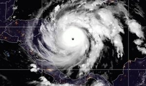
Una temporada normal, entre el 1 de junio al 30 de septiembre, comprende alrededor de 14 tormentas con nombre, de ellas siete huracanes y tres huracanes de fuerza mayor. Para este año, la NOAA vaticina entre seis y 10 huracanes, con tres a cinco de ellos de categoría mayor.
Sin embargo, esas predicciones ni siquiera se acercan a los niveles históricos de 2020, donde hubo 14 huracanes, siete de ellos de categoría mayor.
La NOAA advirtió que los residentes de las áreas costeras deberán mantener su vigilancia durante toda la temporada.
“Solo hace falta una tormenta para devastar a una comunidad”, dijo el director interino de la NOAA, Ben Friedman.
El principal meteorólogo de la agencia, Matthew Rosencrans, explicó que el cambio climático ha incrementado las lluvias en las tormentas en alrededor de un 3% y él espera que aumente hasta un 10% en el futuro.
El huracán Laura dejó algunas áreas de Luisiana y el sureste de Texas bajo el agua hasta agosto pasado, y decenas de muertos.
Para finales de la temporada de 2020, los meteorólogos se quedaron sin nombres y comenzaron a bautizar a las tormentas con las letras del alfabeto griego.

